※正確な物件画像が表示されない場合がございます。 詳細な画像は裁判所物件資料をダウンロードしてご確認下さい。
※お問合せなどの際にコピーしてお使い下さい
| 7,856,000円 から入札可能です |
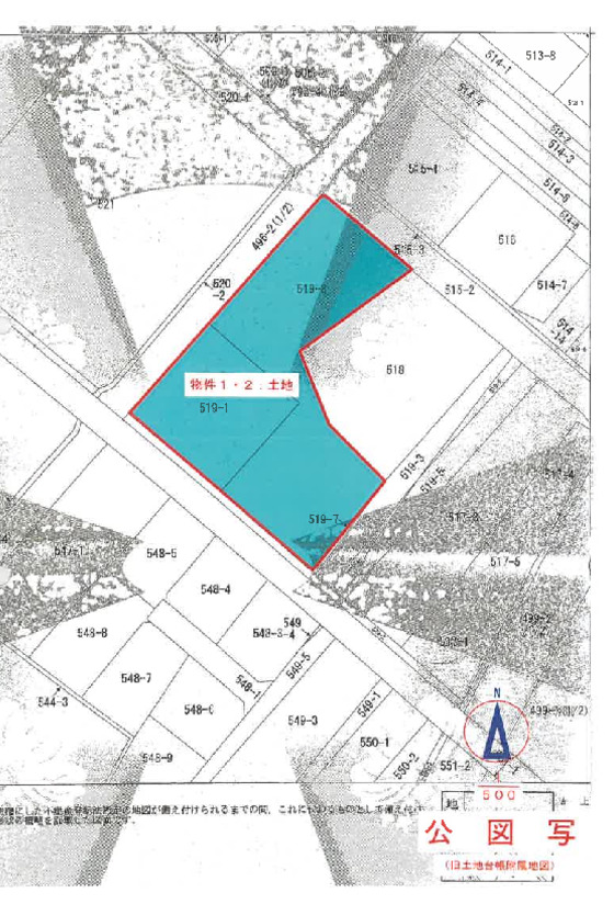
| 所在地 | 静岡県賀茂郡南伊豆町上賀茂字中島 519番地1 | |
|---|---|---|
| 評価書上の交通 |
伊豆急行線「伊豆急下田」駅 西方 道路距離 約11km |
|
| 種別 |
土地 |
物件番号 |
1 |
|---|---|---|---|
| 所在地 |
賀茂郡南伊豆町上賀茂字中島 519番1 |
家屋番号 |
|
| 地目(登記) |
宅地 |
地目(現況) |
|
| 土地面積(登記) |
400.75m2 |
土地面積(現況) |
|
| 用途地域 |
都市計画区域内無指定 |
利用状況 |
|
| 建ぺい率 |
70% |
容積率 |
200% |
| 種別 |
土地 |
物件番号 |
2 |
| 所在地 |
賀茂郡南伊豆町上賀茂字中島 519番8 |
家屋番号 |
|
| 地目(登記) |
雑種地 |
地目(現況) |
宅地 |
| 土地面積(登記) |
906m2 |
土地面積(現況) |
|
| 用途地域 |
都市計画区域内無指定 |
利用状況 |
|
| 建ぺい率 |
70% |
容積率 |
200% |
| 種別 |
建物 |
物件番号 |
3 |
| 所在地 |
賀茂郡南伊豆町上賀茂字中島 519番地1 |
家屋番号 |
519番1 |
| 種類(登記) |
事務所 車庫 |
種類(現況) |
事務所 車庫 倉庫 |
| 構造(登記) |
鉄骨造亜鉛メッキ鋼板葺2階建 |
構造(現況) |
|
| 床面積(登記) |
1階 198.30m2
2階 49.57m2 |
床面積(現況) |
|
| 間取り |
その他 |
敷地利用権 |
所有権 |
| 占有者 |
債務者・所有者 |
築年月 |
平成2年8月 |
| 売却基準価額 | 9,820,000円 | 平米数 | 247㎡ |
|---|---|---|---|
| 単純純利回り |
29.6% |
表面利回り |
40.7% |
| 賃貸需要 | 0 / 25pt | 買受可能価額 | 7,856,000円 |
| 耐用年数消化率 | 140% | 買受申出保証額 | 1,964,000円 |
| 事件番号 | 令和07年(ケ)第76号 | 開札期日 | 2026/04/22 |
|---|---|---|---|
| 管轄裁判所 | 静岡地方裁判所沼津支部 | 閲覧開始日 | 2026/03/09 |
| 買受方法 | 期間入札1 | 入札期間 | 2026/04/08 ~ 2026/04/15 |
| 売却決定期日 | 2026/05/13 | 特別売却期間 | 2026/04/23 ~ 2026/04/24 |
| バーチャル入札 0件登録済 ログインしてご確認ください。 |
|---|
初めての競売 ~プロと二人三脚で大成功をつかむ5つの戦略~
競売以外の不動産を購入する場合に物件資料に表示されている不動産価格は、購入諸経費(約7.5%)が含まれておりません。
よって、この物件を取得費982万円で購入するのと、競売以外の不動産を913万円(諸経費含まず)で購入するのとでは、最終的に同じ金額を支払うことになります。
競売は諸経費の計算式が他の不動産購入時とは異なりますが、一般消費者が直接的に「転売業者の仕入れ市場」から中間マージン(地域や物件種別にもよりますが平均3割)をカットして購入できる唯一の市場が「競売」です。
同じ金額を支払われるなら、割安にグレードアップした競売で購入されることをおすすめします。一般社団法人不動産競売流通協会(FKR)正会員があなたの物件購入をサポートしてくれます。お気軽にご相談ください。
※上記に記載されている金額は、売却基準価格をもとにした数値を表示しております。実際の「総取得費」を知りたい方はこちらの「入札シミュレーション」をご利用ください。