愛知県西尾市の中規模な公共施設・病院・大学がある住人の多い中高層住宅地域の戸建
| 所在地・交通 | 種別 | 売却基準価額 | 買受可能価額 | ランク・利回り |
|---|---|---|---|---|
|
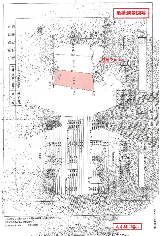
愛知県西尾市伊藤三丁目 5番地15
名鉄西尾線「桜町前」駅 南西方 道路距離 約1.0km,六万石くるりんバス「鶴城中西」停留所 北方 道路距離 約200m |
期間入札(1)
戸建 |
18,620,000円 | 14,896,000円 |
5.5% |
情報掲載日 2026/02/18
※正確な物件画像が表示されない場合がございます。詳細な画像は、物件資料をダウンロードしてご確認下さい。
数値情報
| 売却基準価額 | 18,620,000円 | 平米数 | 100平米 |
|---|---|---|---|
| 単純純利回り |
5.5% |
表面利回り |
7.6% |
| 賃貸需要(/25pt) | 15pt | 買受可能価額 | 14,896,000円 |
| 耐用年数消化率 | 22% | 買受申出保証額 | 3,724,000円 |
所在地・交通
| 所在地 |
※表示される地図は、実際の所在地と正確に一致しない場合があります。
|
||
|---|---|---|---|
| 評価書上の交通 |
名鉄西尾線「桜町前」駅 南西方 道路距離 約1.0km
六万石くるりんバス「鶴城中西」停留所 北方 道路距離 約200m |
||
| 参考交通 |
名鉄西尾線 西尾口駅 北西方 1.15km |
||
裁判所・入札期間情報
| 事件番号 |
令和07年(ケ)第56号 |
開札期日 |
2026/03/19 |
|---|---|---|---|
| 管轄裁判所 |
名古屋地方裁判所岡崎支部 |
閲覧開始日 |
2026/02/18 |
| 買受方法 |
期間入札 |
入札期間 | 2026/03/05 ~ 2026/03/12 |
| 売却決定期日 |
2026/04/09 |
特別売却期間 | 2026/03/26 ~ 2026/03/26 |
物件情報
| 種別 |
土地 |
物件番号 |
1 |
|---|---|---|---|
| 所在地 |
西尾市伊藤三丁目 5番15 |
家屋番号 |
|
| 地目(登記) |
宅地 |
地目(現況) |
|
| 土地面積(登記) |
118.48m2 |
土地面積(現況) |
|
| 用途地域 |
第一種中高層住居専用地域 |
利用状況 |
|
| 建ぺい率 |
60% |
容積率 |
150% |
| 種別 |
建物 |
物件番号 |
2 |
| 所在地 |
西尾市伊藤三丁目 5番地15 |
家屋番号 |
5番15 |
| 種類(登記) |
居宅 |
種類(現況) |
|
| 構造(登記) |
木造スレートぶき2階建 |
構造(現況) |
|
| 床面積(登記) |
1階 50.22m2
2階 49.81m2 |
床面積(現況) |
|
| 間取り |
4LDK |
敷地利用権 |
所有権 |
| 占有者 |
債務者・所有者 |
築年月 |
令和2年12月 |
スポンサーリンク
広告を全て非表示
アクセス・連絡先
株式会社鸛はうす
TEL : 0566-22-2117 / FAX : 0566-27-3009
〒448-0813
愛知県刈谷市小垣江町荒畑24番地
MAP
営業時間: 10時~19時
定休日: 日曜・祝日
競売不動産取扱主任者在籍の女性スタッフが対応致します! 競売のこと、なんでもご相談下さい!
会社情報
| 会社名 | 株式会社鸛はうす | 住所 |
〒448-0813 愛知県刈谷市小垣江町荒畑24番地 |
|---|---|---|---|
| 代表取締役 | 山田 祥子 | 免許番号 | 愛知県知事(4)第21457号 |
| 設立年月 | 2009年6月 | 資本金 | 3,000,000円 |
| 従業員数 | 2人 | ||
| 主な業務内容 | 競売サポート・戸建競売投資セミナー 不動産売買及び仲介 賃貸物件の仲介及び管理 リフォーム、設備機器の修理、工事 水道工事、水廻りのトラブル解消 | ||
担当者からのメッセージ
-
-
担当者 山田 祥子 得意分野 物件調査は私にお任せを! 競売セミナーも得意分野です。 競売全てにおいて、お任せ下さいませ! 資格 宅地建物取引士 競売不動産取扱主任者
趣味 麻雀とカラオケ、ドライブ好きです。 麻雀はネットゲーム、リアル両方好きですが、リアル麻雀は、タイミングや仕事等であまりできなくなってしまいました。 運転も好きで両距離ドライブも苦ではないです。車好きなので、車談義に熱が入ることも・・・(笑) また特技は約30年習っていた日舞と新舞踊です。
メッセージ ご依頼下さいましたお客様から、「安心して任せられた」「山田さんに頼んでよかった」と、言われるのが、とても嬉しいです。その言葉を裏切らないよう、日々精進しております。
スポンサーリンク
広告を全て非表示





